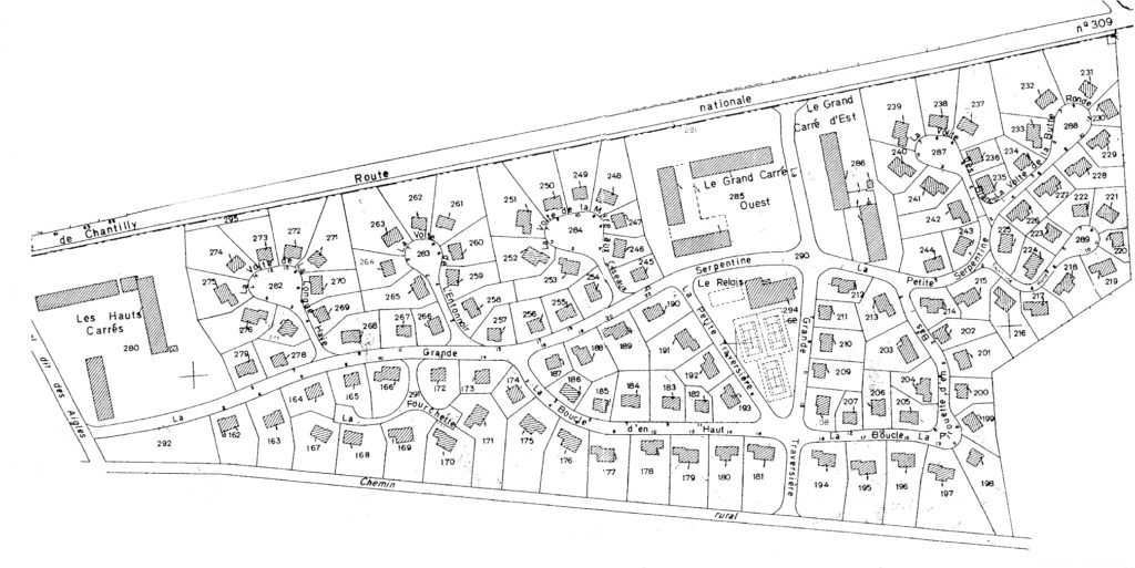
Le Parc des Aigles est un ensemble immobilier situé sur la commune de Gouvieux. Bordé au sud par le terrain des Aigles, terrain d’entrainement des chevaux de galop, et au nord par la vallée de la Nonette, au cœur d’une zone boisée, il couvre une superficie d’environ 20 ha.
Le parc des Aigles est constitué de :
- 118 pavillons globalement répartis en deux secteurs ;
- 213 appartements formant deux résidences : Grands Carrés et Hauts Carrés ;
- une structure particulière, « le Relais », est constitué de 7 appartements et de locaux professionnels à vocation santé (médecins, pharmacie, dentiste et masseur-kinésithérapeute.
- des installations sportives rassemblent une piscine et trois courts de tennis.
L’accès au Parc dont les voies sont privées se fait soit par le nord, soit par l’ouest.
L’ensemble du Parc est administré par un comité agissant dans le cadre d’un association foncière urbaine libre : l’Association Foncière Urbaine Libre du Parc des Aigles, l’ASFULPA.
Par simple acquisition d’un bien, tout propriétaire d’un appartement ou d’une maison dans le périmètre du Parc des Aigles devient obligatoirement membre de cette Association.
L’ASFULPA administre par l’intermédiaire du cabinet Nexitis les espaces et installations dont l’usage est commun à chaque entité : routes, espaces verts non privatifs, télédistribution, installations sportives (hors fonctionnement).
Le Parc des Aigles est ainsi assujetti à un cahier des charges, formulé par le promoteur et qui impose des règles de fonctionnement à l’ensemble : architecture, plantations, répartition des charges.
Depuis 2012 , l’ASFULPA est régie par de nouveaux statuts
Le plan cadastral établi par le promoteur est consultable auprès de la mairie de Gouvieux. Il présente le découpage du terrain en lots individuels.


